‘Ian’ recuerda al huracán ‘Charley’ de 2004, el más fuerte que ha tocado tierra en la costa oeste de la península de Florida, con vientos de 150 kilómetros por hora

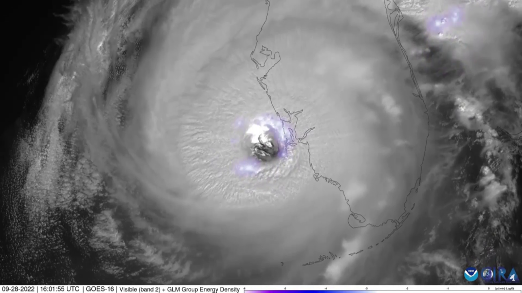
El Centro Nacional de Huracanes (CNH) de Estados Unidos ha informado de que el huracán ‘Ian’, de categoría cuatro en la escala de cinco de Saffir-Simpson, ha tocado tierra cerca de Cayo Costa, en el estado de Florida, tras pasar por Cuba.
«A las 3.05 horas (hora local) el ojo del huracán ‘Ian’ tocó tierra cerca de Cayo Costa, en Florida, como un huracán de categoría 4 con vientos máximos sostenidos de 150 kilómetros por hora», ha subrayado el Centro en su perfil oficial de Twitter.
‘Ian’ recuerda al huracán ‘Charley’ de 2004, el más fuerte que ha tocado tierra en la costa oeste de la península de Florida, con vientos de 150 kilómetros por hora, según ha explicado el meteorólogo de la cadena estadounidense CNN, Brandon Miller.
Catalogado como «extremadamente peligroso», el CNH ha advertido de que el huracán, que tiene en alerta de evacuación a alrededor de 2,5 millones de personas, pronto «causará marejadas ciclónicas catastróficas, vientos e inundaciones».
Cerca de 21 millones de personas se preparan para enfrentar en las próximas horas apagones e inundaciones y se espera que el huracán cause más de 67.00 millones de dólares (68.800 millones de euros) en daños y pérdidas, según ha recogido la agencia de noticias Bloomberg.
El gobernador de Florida, Ron DeSantis, ha explicado anteriormente que, por el momento, ya hay registrados al menos 200.000 cortes de energía en todo el estado de Florida, asegurando que la interrupción de la red eléctrica será generalizada.
Una veintena de migrantes desaparecidos en el mar
Las autoridades del estado estadounidense de Florida han respondido este miércoles al desembarco de un bote de migrantes que ha dejado al menos 23 desaparecidos en el marco del paso del huracán ‘Ian’, que avanza hacia Estados Unidos con vientos máximos sostenidos de 220 kilómetros por hora.
«Agentes de la Patrulla Fronteriza de Estados Unidos, junto con el apoyo de la Oficina del condado de Monroe (Florida) respondieron al desembarco de un migrante en Stock Island. Cuatro migrantes cubanos nadaron hasta la orilla después de que su embarcación se hundiera debido a las inclemencias del tiempo», ha informado en su perfil oficial de Twitter el jefe de patrulla, Walter Slosar.
Ante la llegada del huracán, el alguacil del condado de Lee, Carmine Marceno, ha asegurado que el fenómeno, de categoría cuatro, «puede cambiar vidas». «Cape Coral es una ciudad enorme», ha recordado. El condado de Lee se encuentra en el suroeste de Florida e incluye ciudades como Fort Myers, Cape Coral y Sanibel.
Precisamente el responsable de gestión de emergencias en Cape Coral, Alvin Henderson, ha explicado que ‘Ian’ será «uno de los peores huracanes» que la región «haya visto jamás», según ha informado la cadena estadounidense CNN.


